• Haberler
  • Güncel
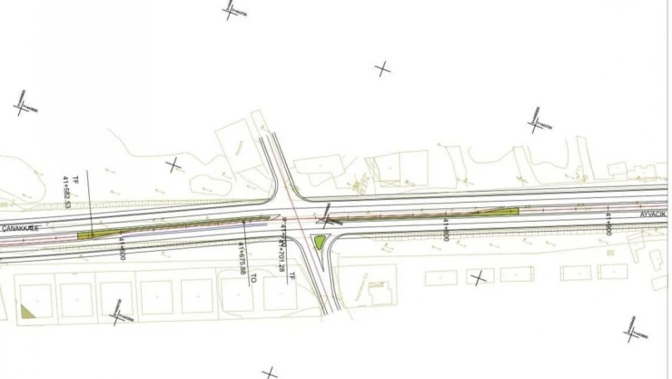
  • Ezine'de Kocahendek-Akköy Yolu Kavşak bağlantı yolu çalışmaları başlıyor

Ezine'de Kocahendek-Akköy Yolu Kavşak bağlantı yolu çalışmaları başlıyor

Çanakkale'nin Ezine ilçesi Seferşah Mahallesi Kaymakamlık Lojmanı Önü kavşak bağlantı yolu çalışmaları başlıyor.

Ezine'de Kocahendek-Akköy Yolu Kavşak bağlantı yolu çalışmaları başlıyor
TAKİP ET Google News ile Takip Et

Çanakkale’nin Ezine ilçesi Seferşah Mahallesi Kaymakamlık Lojmanı Önü kavşak bağlantı yolu çalışmaları başlıyor.

Ezine Belediyesi tarafından Seferşah Mahallesi Kaymakamlık Lojmanı önünde, Akköy Yolu güzergahının çözüm bekleyen sorunlara yönelik önemli bir adım atılıyor. Bu hafta içerisinde başlayacak olan Kocahendek-Akköy Yolu Kavşak Bağlantı Yolu çalışmaları, bölgedeki ulaşım sorunlarına çözüm olacak. Ezine Belediyesi’nin 2. Geçiş Kavşak yapımı talepleri Karayolları Genel Müdürlüğü ve Karayolları 14. Bölge Müdürlüğü tarafından projelendirilerek onaylandı. Akköy Yol güzergahının şehir girişine bir bağlantı noktası eklenerek, bölgesel olarak büyümüş ve özellikle okula giden çocukların yaşadığı ulaşıma çözüm getirilecek.

Ezine Belediye Başkanı Güray Yüksel, Ezine’nin yeni bağlantı ve geçiş noktasının, güvenli bir geçiş güzergahı sağlayarak hemşehrilerine rahat bir ulaşım imkanı sunacağını belirterek, “Yeni bağlantı ve geçiş noktasıyla, Ezine’mizin ekonomisine can veren bir cadde ve güvenli bir geçiş güzergahı daha Ezine’mize hemşehrilerimize hayırlı uğurlu olsun. Çanakkale’mizin ve bölgemizin parlayan yıldızı peynirin başkenti Ezine’miz ve hemşehrilerimiz için canla başla, gece, gündüz, hafta sonu demeden var gücümüzle çalışmaya devam edeceğiz” dedi.

Bakmadan Geçme